所有的事,不能只看表面這麼簡單,現在的風平浪靜,或許並不一般。多點留心,或許就能減少一些傷害,事事皆是如此!
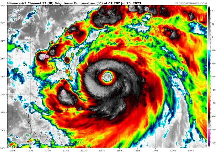
今早,臺北淺藍色的天空清澈少雲,依然陽光普照,偶爾一陣風吹來,輕輕捲起地上枯黃的落葉與細砂,一切如舊。但實際上,遠在鵝鑾鼻東南方海面上,中度颱風「杜蘇芮(DOKSURI)」正慢慢逼近臺灣,來勢洶洶。
圖片來源:tropicaltidbits。

圖片來源:交通部中央氣象局。
即將來襲的「杜蘇芮」風眼清晰可見,強度尚有上調至強颱的可能。據氣象專家分析,預計於26日(三)與27(四)是影響臺灣最為顯著的時候,屆時一定要格外注意安全。如果可以也儘量避免造成防(救)災人員的負擔,讓他們可以將心力放在真正需要被照顧的人身上。

圖片來源:tropicaltidbits。
在我們的印象裡,這三至四年間,似乎沒有什麼颱風生成,也未直接登陸臺灣。不過,其實還是有的,只是它們影響的程度,未在我們心裡留下足夠的份量,證明它們來過而已。

資源來源:彙整於颱風資料庫。
據中央氣象局資料顯示,以目前「杜蘇芮」移動方向來看,其入侵臺灣的路徑將以分類七與五的可能性較高。然而,距今最近侵臺路徑七的颱風為2017年的海棠(輕颱)與2016年的莫蘭蒂(強颱),其分別於屏東楓港與金門登陸,其中心最大風速為20與60 (公尺/秒);路徑五為2020年的閃電(輕颱),中心最大風速為28(公尺/秒),均有人員傷亡。
預防勝於治療。備而不用,是幸運,也是幸福。
有危機意識,才能將傷害減到最輕。在關心是否放颱風假之前,應該也需好好的想一想,如何做好防颱準備。身在島國的我們,相信可以用善良與智慧,挺過一次又一次的風風雨雨。























