
文/許貞慧
走進佛陀紀念館,隨處可見「佛陀的思維樹」,其中有一棵是漂洋過海,來自印度最古老的那爛陀大學,這棵菩提樹植於佛館四給塔與六度塔間的草坪上。挺拔筆直的主幹,茂密的菩提葉,宛如正法永存,開枝散葉的見證。瞻仰它的丰姿,您可遙想佛陀坐於聖樹下、金剛座上說法,與佛陀接心,體悟甚深因緣佛法,尋找那久違的「心」寧靜。

據記載,釋迦牟尼佛於「菩提樹」下成佛,造就佛教與菩提樹不解之緣。《雜阿含經》記載:「我見菩提樹,便見於如來。」大唐玄奘大師西行印度,抵達佛陀成道菩提樹下時,亦五體投地,至誠禮拜菩提樹,以表菩提樹給佛遮蔽豔陽之恩。
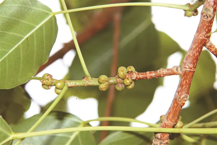
菩提樹象徵智慧、覺悟,又名「畢缽羅樹」。每年夏季7、8月時,枝幹上常有兩兩並生的扁球突起,即為菩提樹的隱花果,內含許多顆粒狀小花,成熟後表面會呈現許多暗紫色的斑點,並自然掉落,而心形狀菩提葉可以在葉脈上寫經傳法。


菩提樹幹紅褐平滑,初生嫩葉從微紅至暗紅,逐漸轉綠,主幹一分為五,猶如禪宗達摩祖師所言:「一花開五葉,結果自然成」。
邀您走一趟佛館,見成佛大道上的菩提樹,如見佛般,體悟一花一葉一如來的一念清淨心,觀想耳邊響起的簌簌聲如佛陀說法。


【延伸閱讀】
佛教植物網—菩提樹
👉 http://lnago.com/ADQC5





















